Zadnje aktivnosti

Zadnje aktivnosti korisnika mogu vidjeti samo registrirani korisnici.

Online korisnici

Online korisnike Agrokluba mogu vidjeti samo registirani korisnici.
Za potpune funkcionalnosti ovih servisa, prijavi se.

Promo

  • Bayer savjetnik
  • 16.06.2014. 15:44

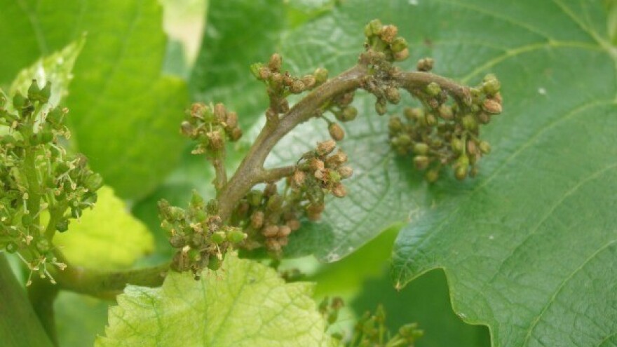
Bayer savjeti za vinogradare 16.-22.06.2014.

Nestabilno vrijeme i dalje stvara pogodne uvjete za razvoj bolesti pa je potrebno dobro pregledavati vinograde i po potrebi ih dodatno zaštititi.

Bayer savjeti za vinogradare 16.-22.06.2014.
Foto: Gemini 2.5 Flash
618
58
0

I ovaj tjedan Bayerovi stručnjaci donose nam savjete za zaštitu vinograda od aktualnih štetnika i bolesti.

Preporuke vinogradarima kontinentalne regije

Završena je cvatnja vinograda u kontinentalnoj Hrvatskoj. Sada je potrebno zaštititi vinograd i mlade grozdove od bolesti (plamenjača, pepelnica, siva plijesan) i štetnika (moljci). Preporuka za zaštitu je: Mikal Premium (3 kg/ha), Falcon (0,4 l/ha) i Teldor (1,5 l/ha). U atomizer ili prskalicu prvo se stavlja Teldor, zatim Mikal Premium te Falcon. Vinograd se nakon cvatnje prska protiv sive plijesni koja se hrani ostacima cvata pa se smanjuje mogućnost njenog napada kasnije. U idućih nekoliko dana smanjivat će se napad plamenjače u vinogradu, a biti će pojačani napad pepelnice. Pepelnici nije potrebna kiša za razvoj, već je dovoljna jutarnja rosa. Uobičajeno je da preparati za plamenjaču štite dulje nego preparati za pepelnicu, pa je potrebno pripaziti na iznenadni napad pepelnice. Moljci se prskaju samo u onim vinogorjima gdje je napad velik, a ako ih nema, ili ih ima malo, tada nije potrebno prskati. U vinogradima koji nisu u integriranoj zaštiti, preporuča se zaštitu protiv moljaca insekticidom Decis (0,4 l/ha). Nakon cvatnje, na vinogradima se obavlja zelena rezidba (vršikanje) kako bi se smanjila bujnost i povećala prozračnost vinograda.

Jaka tuča uništila je vinograde u okolici Jastrebarskog. Šteta je velika jer su u potpunosti uništeni listovi i grozdovi. Takve vinograde treba oprskati aminokiselinama, kako bi se vinogradi što prije oporavili, a nakon toga je potrebno oprskati mladice na kojima nema lista preparatom Teldor (1 l/ha) kako ne bi došlo do zaraze plijesni na otvorenim ranama. Mladice ne treba rezati na dva do tri pupa jer će se one oporaviti. Iduće godine može biti normalna berba jer ima dovoljno vremena za zaperke koji će narasti do kraja vegetacije. Mlade vinograde također treba zaštititi od bolesti pripravcima Profiler (2,5 kg/ha) i Falcon (0,4 l/ha). Takve vinograde treba pažljivo oplijeviti i pustiti samo one mladice koje su potrebne za formiranje uzgojnog oblika. Korovi u vinogradima mogu se suzbijati pripravkom Basta 15 (2 - 3 l/ha) u trake, odnosno ispod redova.

Preporuke vinogradarima sjeverne Dalmacije, Primorja i Istre

Vremenska prognoza za tekući tjedan daje naznaku nastavka nestabilnog vremena s oborinama. Ponegdje, a posebice u sjevernoj Dalmaciji, postoji i mogućnost većeg grmljavinskog nevremena s obilnijom kišom. Kiša je u ovoj fenofazi razvoja dobrodošla s tehnološkog stajališta (povećana potreba loze za vlagom), ali predstavlja dodatnu opasnost za daljnju pojavu, širenje i razvoj plamenjače. To je posebno izraženo u vinogradima gdje su već ostvarene primarne i sekundarne zaraze. Takvih vinograda u svim navedenim podregijama ima podosta, stoga se još ne preporuča prijelaz na kontaktne anti-peronosporne pripravke. Savjetuje se nastavak primjene proizvoda s kurativnim djelovanjem. Proizvođačima koji su koristili Mikal Premium (3 kg/ha) u blok tretmanima (tri puta po programu), za daljnju zaštitu preporučuju se ništa manje učinkoviti pripravci Melody Duo (2,5 - 3 kg/ha) ili Verita (2,5 - 3 kg/ha). Kako su vrijednosti relativne vlage zraka i dalje vrlo visoke, ostvareni su idealni uvjeti za pojavu i širenje pepelnice. Za suzbijanje ove bolesti preporuča se najefikasniji fungicid na tržištu - Falcon (0,4 l/ha). Kao partner pripravku Falcon dodaje se i trećina doze sumpornih pripravaka, samo kao dodatnu sigurnost od napada pepelnice. Učinak te kombinacije je sinergijski (zajednički) i 100% siguran. Preporučujemo jedan od sumpornih pripravaka WG formulacije. Kvalitetan odabir sredstava za zaštitu i kvalitetna aplikacija istih su prioritet vinogradaru u idućem kratkoročnom razdoblju.

Preporuke vinogradarima Dalmatinske zagore te srednje i južne Dalmacije

U tjednu koji dolazi očekuju se velike količine oborina koje su nas pratile i protekli vikend. U skladu s navedenim vremenskim uvjetima, iznimno je povećana opasnost od plamenjače vinove loze. Posebno je važno naglasiti da grozdići u vinogorjima, gdje je cvatnja završila već protekli tjedan, nisu još izbjegli opasnosti od zaraze. Naime, boba mora biti promjera otprilike graška ili veća da puči prestanu biti aktivne. Tada su te bobe sigurne od zaraze, što znači da zaštiti od plamenjače još uvijek moramo posvetiti maksimalnu i rigoroznu pažnju. Što se tiče zaraza plamenjačom u vinogorjima, za sada možemo govoriti o najmanje tri žarišta: Jezero kod Vrgorca, Čara te Blato na Korčuli. U ovim, ali i drugim vinogorjima, će se u ovoj ekstremno zahtjevnoj godini vrlo dobro vidjeti tko je koristio vrhunska sredstva za zaštitu od plamenjače, a tko je štedio. Kod sljedećih prskanja za zaštitu od plamenjače preporuča se Profiler (2,5 kg/ha) u vinogradima gdje nema simptoma bolesti; ukoliko sumnjate u zarazu onda se preporuča pripravak Verita (2,5 - 3 kg/ha). Za one vinogradare koji nisu iskoristili dozvoljeni broj prskanja sredstvima Mikal Premium (3 kg/ha) ili Mikal Flash (3 - 4 kg/ha) preporuča se upotreba pripravka Mikal Premium, naročito ako su primijetili simptome (uljne mrlje). Ako je došlo do simptoma, potrebno je smanjiti razmake prskanja za par dana. Na nekim vinogorjima već je uočen dolazak prvih simptoma pepelnice. Za njeno suzbijanje preporuča se pripravak Falcon (0,4 l/ha). Obavezno je i prvo prskanje protiv sive plijesni, za čije se suzbijanje preporuča Teldor (1 - 1,5 l/ha).


Dokumenti


Tagovi

Bayer Vinogradi Zaštita vinograda Pepelnica Siva plijesan Moljci MIkal Premium Falcon Preporuke vinogradarima


Partner

Izdvojeni tekstovi

Izdvojen oglas

KLUB

Nova mobilna aplikacija Agroklub jučer je po prvi put ugledala svjetlo dana. Porođajne muke su sada iza nas, babica je prilično zadovoljna. Pa neka nam je živa, zdrava i stabilna. I koristi brojnim domaćim poljoprivrednicima dugo i sretno!... Više [+]