Zadnje aktivnosti

Zadnje aktivnosti korisnika mogu vidjeti samo registrirani korisnici.

Online korisnici

Online korisnike Agrokluba mogu vidjeti samo registirani korisnici.
Za potpune funkcionalnosti ovih servisa, prijavi se.

Promo

  • Prehrambena (ne)pismenost
  • 29.02.2024. 10:30

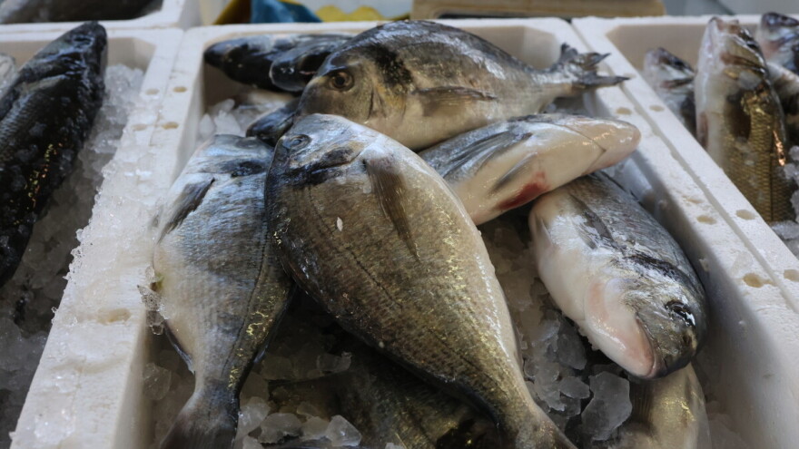
Nema zdravijeg obroka od ribljeg, ali riblji štapići nisu riba

Riblji štapići s 22 posto ribe, štapići s okusom raka bez raka, namazi od ribe s 30 posto ribe, prerađivači će ići onoliko daleko koliko im potrošači dopuste. Imate li uopće ideju što jedete u različitim ribljim proizvodima?

Nema zdravijeg obroka od ribljeg, ali riblji štapići nisu riba
Foto: Depositphotos/Malleo
2.602
185
0

Zdravstvene smjernice preporučuju unos ribe dva puta tjedno. Najviše se cijeni unos svježe ulovljene sitne plave. No, kratki ste s vremenom, pa ste pribjegli kupovini paniranih ribljih štapića. I djeca ih vole.

Nažalost, niti ste na putu da im predstavite okus i konzistenciju prave ribe, niti ćete im na ovaj način pomoći da unesu onoliko korisnih nutrijenata koliko biste htjeli. Veliki dio paniranih ribljih štapića i sličnih proizvoda na tržištu samo su manjim dijelom riba jer je sadrže od cca 22, preko 40 pa do 57 posto. 

Riblji proizvod i riba nisu isto

Na ovom primjeru vidljivo je da riblji proizvod i riba nisu jedno te isto.

Ostali sastojci mogu biti: proteini graška, lignje, brašno, voda, krumpirov škrob, začini i pojačivači arome, tvari za rahljenje i drugi, ovisno o brendu. Ako ste se planirali počastiti proteinskim obrokom sa zdravim mastima, prekrižite panirane riblje štapiće.

Panirani riblji štapići s 22% bijele ribe (100 g)

File oslića kuhanog na pari (100 g)

7 g proteina

22,8 g proteina

9 g masti

0,86 g masti

0,6 g zasićene masne kiseline

 

26 g ugljikohidrata

0 g ugljikohidrata

1,45 g šećeri

0 g šećera

Porijeklo, odnosno mjesto ulova ribe, drugi je veliki problem. Jer nije isto gdje je ulovljena, a gdje pakirana.

Još manje ribe od paniranih ribljih štapića mogu sadržavati Surimi riblji štapići s okusom raka. Što je to? Evo primjera na hrvatskom tržištu koji sadrže samo 22% surimija, a ostalo su: škrob, bjelanjak, bjelančevine soje i veći broj pojačivača, aroma, aditiva. A surimi je: riba, šećer i nekoliko stabilizatora, što znači da u proizvodu kojeg neki tako nazivaju, ponekad ima čak i manje od 22 % ribe. U nekim drugim brendovima spominje se 28 posto što i nije veliki dobitak za konzumenta koji želi pojesti riblji obrok. 

Namazi od ribe

Na našem tržištu danas možete pronaći više vrsta namaza od ribe. No, na primjeru Losos namaza raščlanit ćemo sastav ovakvih sličnih proizvoda. Jer dimljenog lososa je u ovom proizvodu samo 30 posto, a ostalo su: vrhnje, jaje, krumpirov škrob, mlijeko u prahu i nemali broj aditiva. Deklaracija tvrdi da je ulovljen u Tihom oceanu.

Da sami kući napravite riblji namaz, vjerujem da bi postotak ribe bio bliže 90 posto, a ovaj proizvod, označen velikim natpisom "losos“, a malim natpisom "namaz“ nije namirnica niti slična lososu po svom nutritivnom sastavu. Evo usporedbe spomenutog proizvoda i nutritivnih vrijednosti za dimljeni Chinook losos prema USDA podacima, pa sami usporedite postotak proteina, masti i ugljikohidrata u ove dvije namirnice.

Namaz od dimljenog lososa (100 g)

Dimljeni losos (100 g)

7,5 g proteina

18,3 g proteina

32,4 g masti

4,3 g masti

8,6 g zasićenih masnih kiselina

0,9 g nezasićenih masnih kiselina

5,7 g ugljikohidrata

0 g ugljikohidrata

4,1 g šećera

0 g šećera

Trajni riblji proizvod

Pod trajnim ribljim proizvodom ubrajamo nama omiljene konzervirane ribice. No, i tu treba pripaziti. Nije isto hoćete li pojesti konzerviranu plavu ribu u maslinovom ulju ili konzervu s već gotovim obrokom npr. od tune s dodanim kus-kusom, slanutkom, mrkvom, graškom, aromama i glukoznim sirupom. Jer proizvod na deklaraciji navodi sadržaj od samo 23% uzgojene (talijanske) tunjevine. U 100 g on sadrži: 9 g proteina, 16 g masti od čega su zasićene masne kiseline 2,7 g, i ima 15 g ugljikohidrata od čega su 1 g šećeri.

S druge strane, proizvod usitnjenih tuna komadića u biljnom ulju sadrži 70 posto tune (doduše, tajlandskog porijekla). U sastavu hranjivih vrijednosti proizvod od komadića usitnjene tune se uvelike razlikuje od tzv. gotovih obroka s ribom jer sadrži puno više proteina i ne sadrži ugljikohidrate.

Nema zdravijeg obroka od ribljeg

Da biste vi i vaša obitelj uživali u nutritivnim i samim time zdravstvenim blagodatima pravog ribljeg obroka, isplanirajte i nabavite: svježu ulovljenu ribu (na ribarnicama), smrznutu ulovljenu (u trgovačkim centrima koje opskrbljuju domaće ribarske zadruge), svježu uzgojenu (sa zemljopisno što bližih ribogojilišta), file ili odrezak od ribe, te u krajnjem slučaju trajni riblji proizvod bez dodanih primjesa. Napomenuti valja da i kod kupovine ribljih komada postoje razlike, jer nije isto kupujete li riječnog soma uzgojenog u najzagađenijoj vijetnamskoj rijeci (postoji na hrvatskom tržištu) ili npr. divlju jadransku srdelu.

Hrvatski oslić u šibenskim vrtićima! A, zašto ne u cijeloj Hrvatskoj?

Procesirano, mljeveno, začinjeno, konzervirano, uz veliki broj primjesa i dodataka, tako izgleda današnja ponuda u trgovinama. Čest je slučaj da su ambalaža i brendiranje veće vrijednosti, nego proizvod kojeg se nudi. A taj "proizvod“ daleko je od hrane. Zato ju je najsigurnije kupiti direktno od poljoprivrednog proizvođača, u ovom slučaju i ribara.

Kupujmo hranu, a ne proizvode!


Tagovi

Riblji proizvod Proizvod od ribe Riblji štapići Surimi Namaz od ribe Losos Tuna Prehrana


Autorica

Vesna Mijat

Više [+]

Zaljubljenica u prirodu, agronom po struci sa šarenim radnim iskustvom od znanstvenog rada u genetici, preko upravljanja poljoprivrednom zadrugom, pa do uvijek prisutnog poljoprivrednog novinarstva. Neispunjena želja joj je da radi direktno za hrvatskog poljoprivrednika.

Izdvojeni tekstovi

Izdvojen oglas

KLUB

U Zračnoj luci Franjo Tuđman u Zagrebu održan je interaktivni pop-up event u sklopu europske kampanje #PlantHealth4Life, koju na europskoj razini provodi Europska agencija za sigurnost hrane (EFSA), a u Hrvatskoj Hrvatska agencija za poljop... Više [+]