Zadnje aktivnosti

Zadnje aktivnosti korisnika mogu vidjeti samo registrirani korisnici.

Online korisnici

Online korisnike Agrokluba mogu vidjeti samo registirani korisnici.
Za potpune funkcionalnosti ovih servisa, prijavi se.

Promo

  • Zlatica na patlidžanu
  • 17.05.2023. 07:30

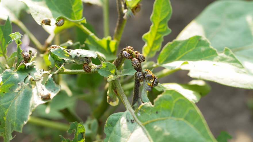
Zlatica krumpira na patlidžanu: Oprezno s upotrebom insekticida - što raditi?

Krumpirove zlatice predstavljaju veliki problem u proizvodnji patlidžana jer se plodovi formiraju na biljci. Što napraviti kada je napad jak?

Zlatica krumpira na patlidžanu: Oprezno s upotrebom insekticida - što raditi?
Foto: Depositphotos/aprilphoto
4.055
98
0

Od zlatice krumpira strada i patlidžan. U suzbijanju je potrebno puno strpljenja. Na početku vegetacije više se zadržavaju na usjevu krumpira, ali kako vrijeme odmiče, bit će ih sve više na biljkama patlidžana.

Problem kod suzbijanja je što treba biti vrlo pažljiv kada je u pitanju upotreba insekticida koje preporučuju za upotrebu u krumpiru. Razlog tome je što se plodovi formiraju na biljci i direktno su izloženi negativnom djelovanju insekticida.

Preventivne mjere 

Pažljivo odaberite lokaciju za sadnju. Neće im odgovarati gredice i parcele na kojima ste već uzgajali ovu kulturu i srodnike. Na istu parcelu može doći poslije tri do četiri godine. Sadite ih što dalje od rajčice i krumpira.

Na početku napada možemo ih sakupljati ručno, najbolje ujutro i navečer. Koriste se i zamke s korama krumpira u otopini dušičnog gnojivaa. Čaše s oguljenom korom se postavljaju u razinu zemlje. Insekte skupljamo svakodnevno, a mamac mijenjamo po potrebi.

Malčirana površina predstavlja prepreku za kretanje odraslih zlatica iz zemlje na biljke i obratno. Najbolje se pokazao malč od koprive, jer ih žarne dlačice odbijaju pa izbjegavaju ovakve površine.

Biljke se mogu posipati drvenim pepelom, kukuruznim brašnom, gipsom, cementom. To ćemo učiniti ujutro kada su još vlažne od rose ili nakon kiše. Prisustvo vode na listovima osigurat će da se prah zalijepi što odbija štetnika. Problem je što ovom metodom trošimo velike količine praškaste tvari i postupak se često mora ponavljati.

Zašto je dobar i za što se sve koristi pepeo?

Možemo saditi biljke koje djeluju kao repelenti, jer zlatica ne podnosi njihov miris. Najefikasniji su se pokazali pelin, neven, celer, dragoljub, gorušica.

Što kada je napad jak?

Međutim, kod jakog napada bit će neophodno primijeniti različita sredstva. Jedan uspješan preparat možemo i sami napraviti od listova maslačka, crvenog luka i češnjaka. Dovoljno je uzeti po čašu od svake vrste i usitniti ili još bolje samljeti. Dobivena masa se prelijeva s 10 l vode i ostavi 3 h. Sadržaj se procijedi, dodamo do dvije žlice sitno naribanog ili tekućeg sapuna i preparat je spreman za upotrebu. Djeluje protiv i na sve razvojne faze zlatice i protiv grinja i lisnih ušiju. Osim toga, efikasni su pripravci od duhana, pelina, češnjaka i crvenog luka.

Otopina koju pripremamo od odraslih ličinki je dobro poznata. Skupimo oko 250 g štetnika koji se preliju s 10 l vode i ostave do pet dana kada većina kukaca potone na dno. Procijedi se i razblaži vodom u odnosu 1:2. Tretiranje se obavlja jednom u 15 dana.


Povezana biljna vrsta

Patlidžan

Patlidžan

Sinonim: - | Engleski naziv: Eggplant | Latinski naziv: Solanum melongena L.

Patlidžan se uzgaja na površinama manjim od onih za rajčicu i papriku. U zemljama Afrike i Azije, kao i na Mediteranu cijeni se kao korisno povrće i nazivaju ga mesom jer je... Više [+]

Tagovi

Patlidžan Štetočina patlidžana Zlatica na patlidžanu Klopka za zlatice Špricanje zlatice Suzbijanje zlatice Zlatica krumpira


Autorica

Ranka Vojnović

Više [+]

Diplomirana inženjerka poljoprivrede s dugogodišnjim iskustvom u povrćarstvu, zaljubljenica u ekološku poljoprivredu i druge oblike alternativne poljoprivrede poput biodinamike i permakulture.

Izdvojeni tekstovi

Izdvojen oglas

KLUB

Na Vinceški Belja na padinama Banovog Brda, osim tradicionalne fešte, bilo je i riječi o ulaganju Podravke Agri. U planu je proširenje površina: 17 hektara novih nasada u 2026. godini, dodatnih 24 hektara u 2027., a dugoročno, do 2032. godi... Više [+]