Zadnje aktivnosti

Zadnje aktivnosti korisnika mogu vidjeti samo registrirani korisnici.

Online korisnici

Online korisnike Agrokluba mogu vidjeti samo registirani korisnici.
Za potpune funkcionalnosti ovih servisa, prijavi se.

Promo

  • Bayer Vinogradar
  • 06.06.2014. 13:20

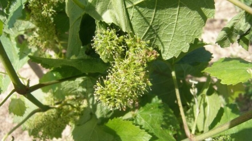
Savjeti za vinovu lozu za tjedan 02.-08.06.2014.

Nepovoljna vremenska prognoza stvorila je idealne uvjete za razvoj raznih bolesti u vinogradima.

748
48
0

Bayerovi stručnjaci obišli su vinograde te dali preporuke za tretiranje bolesti i štetnika koji trenutno predstavljaju najveću opasnost.

Preporuke vinogradarima kontinentalne regije

Počela je cvatnja vinograda u kontinentalnoj Hrvatskoj. Sorte grožđa prve i druge epohe (portugizac, rizvanac, traminac, pinot bijeli, pinot sivi, pinot crni, chardonnay, sauvignon bijeli) sada su u punoj cvatnji, dok je na kasnijim sortama (graševina, rizling rajnski, cabernet sauvignon, ružica) cvatnja tek počela. U cvatnji vinograde ne bi trebalo prskati, no ako nisu oprskani na vrijeme - neposredno pred cvatnju - tada se moraju zaštititi protiv bolesti i štetnika. Štete od prskanja u cvatnji su minimalne u usporedbi sa štetom od pojave bolesti. Preporučuje se zaštita vinograda (uključujući i mlade vinograde) pripravcima Mikal Premium (3 kg/ha) i Nativo (0,2 kg/ha). Ovi će preparati zaštititi vinograd od peronospore i pepelnice idućih 14 dana. Kada vinograd cvate, ne dodaju se folijarna gnojiva, a osobito ne bor (B) koji je fitotoksičan na cvat loze.

U vinogorjima gdje je veći napad moljaca, lozu je potrebno oprskati insekticidom nakon cvatnje vinograda. Ako napad nije jak, tada ne treba prskati protiv moljaca. Preporuka je oprskati vinograd insekticidom Decis (0,3 - 0,4 l/ha). Vinogradi koji su u integriranoj proizvodnji ne smiju se prskati piretroidima (Decis), nego s insekticidima koji imaju dozvolu za prskanje protiv moljca u integriranoj proizvodnji. Korovi u vinogradima mogu se suzbijati pripravkom Basta 15 (2 - 3 l/ha) u trake odnosno ispod redova. Vinogradi koji se nalaze u blizini ratarskih usjeva u opasnosti su od nanošenja herbicida na lozu što izaziva fitotoksičnost na vinovoj lozi pa treba pojačani nadzor nad takvim vinogradima.

Preporuke vinogradarima sjeverne Dalmacije, Primorja i Istre

Loši klimatski uvjeti rezultirali su velikim problemima s kojima se susreću vinogradari, od obrade tla, rješavanja problema korova, a posebice zaštite vinograda. Može se reći da u smislu klimatskih uvjeta i teškoća zaštite vinograda imamo sličnu, ako ne i težu godinu od prošle. Na svim zahvaćenim podregijama došlo je do pojave bolesti: plamenjača na listu, plamenjača na mladom cvatu, botritis u najranijoj fazi na cvatu (tzv. zeleni botritis), te pojava pepelnice na cvatovima i formiranim oplođenim grozdićima kod ranijih sortimenata. Pepelnica je dominantnija u Istri, na području Vrbnika, te se uz navedene bolesti pojavljuje čak i crna trulež (Guignardia bidwellii), a u sjevernoj Dalmaciji plamenjača na cvatu.

Kako je loza u fenofazi cvatnje, otežani su svi agrotehničke zahvati. Pravila struke nalažu da se u razdoblju cvatnje zahvati na lozi smanje na što manju moguću mjeru. Kako je pritisak bolesti vrlo velik, preporučuje se, neovisno o fenofazi, tretman zaštite vinove loze kako bi se spriječili veći gubici prinosa već u ovoj fazi razvoja. Kombinacija pripravaka u preporuci odabir je sredstava koja najefikasnije suzbijaju cijeli spektar navedenih bolesti. Mikal Premium (3 kg/ha) sa svoje tri djelatne tvari suzbija plamenjaču u svim stadijima razvoja. Falcon (0,4 l/ha) također sa tri djelatne tvari (tebukanozol, spiroksamin, triadimenol) djeluje preventivno, kurativno i eradikativno (stop effect). Uz efikasno suzbijanje, zahvaljujući djelatnoj tvari spiroksamin, bolest se "pere" s napadnutih dijelova loze. Teldor (1,5 l/ha) spada u najefikasnije proizvode u zaštiti od sive plijesni u svim stadijima razvoja.

Vremenska prognoza za ovaj tjedan daje naznake stabilnijeg vremena te pruža vinogradaru prostor da kvalitetnom aplikacijom i odabirom najboljih sredstava svede moguće gubitke prinosa na minimum.

Preporuke vinogradarima Dalmatinske zagore te srednje i južne Dalmacije

U svim regijama i vinogorjima može se govoriti o fenofazama vezanim za cvatnju. Ovisno o sortimentu, fenofaze se kreću od početka cvatnje (kujundžuša u imotskom vinogorju) do završene cvatnje (pošip na svojim položajima). Zbog proteklog tjedna, koji je bio kišan i promjenjiv, stvorili su se složeni uvjeti za zaštitu vinove loze. Glavni naglasak je na osnovnoj bolesti vinove loze - plamenjači. Kako je izvještavano u prijašnjim preporukama, iz gotovo svih vinogorja dolaze podaci o vidljivim simptomima zaraze ovom bolesti. Bilo je poziva u vezi pepelnice, no velika je mogućnost da se radi o zarazi plamenjačom sa fruktifikacijom u zoni grozdića te time i sličnim simptomima kao kod pepelnice. Osim navedenog, na nizu lokaliteta, primijećeni su i simptomi ranog botritisa, što je rezultat prvenstveno vlažnog i prilično hladnog vremena za ovo doba godine. Zbog takvih uvjeta može se očekivati još simptoma vezanih za ovu bolest, što ipak nije karakteristično za dalmatinske vinograde. U slučaju da postoje simptomi ranog botritisa, kombinacija pripravaka Mikal Premium (3 kg/ha) i Nativo (0,2 kg/ha) bit će idealna za zaštitu vinograda.

Zbog nestabilnog vremena i velikog prirasta vinove loze preporučuje se korištenje najjačih pripravaka s kurativnim svojstvima protiv plamenjače u vinogorjima koja su u početku cvatnje, a to su Mikal Premium, Verita te Melody Duo. U praksi se, zbog sortimenta u istom vinogradu koji ne cvjeta u isto vrijeme, pojavio problem da li obaviti prskanje ili ne kada je cvatnja već počela. U tom slučaju bilo bi idealno pričekati do kraja cvatnje, no u ovim vremenskim uvjetima bilo kakvo kalkuliranje može biti kobno. Zbog toga se preporučuje da oni vinogradari koji imaju potpuno zdrave vinograde planiraju prskanje prema programu i cvatnji, dok oni vinogradari koji imaju zarazu u vinogradu ne odgađaju prskanje jer to može donijeti više štete nego koristi. Gore navedenim pripravcima za suzbijanje plamenjače partneri za suzbijanje pepelnice su Nativo (0,2 kg/ha) ili Falcon (0,4 l/ha). U onim vinogradima gdje je cvatnja završila preporučuje se i upotreba pripravka Teldor (1 - 1,5 l/ha) za prvo prskanje protiv sive plijesni.


Povezana biljna vrsta

Vinova loza

Vinova loza

Sinonim: - | Engleski naziv: Wine grape | Latinski naziv: Vitis vinifera

Vinske sorte vinove loze bijeloga grožđa uzgajaju se na pjeskovitim tlima, a tamnija tla su povoljnija za crne (obojene) sorte, prije svega zbog svog povoljnijeg toplinskog... Više [+]

Fotoprilog


Dokumenti


Tagovi

Vinograd Bolesti Štetnici Vinova loza Trs Peronospora Pepelnica Botritis Moljac Korovi Plamenjača Tretman Crna trulež Zaštita vinove loze


Partner

Izdvojeni tekstovi

Izdvojen oglas

KLUB

Od sada je Agroklub novosti moguće pratiti i putem popularnih grupa na Viberu i WhatsAppu📱

Za Viber kliknete ovdje: http://bit.ly/4pHXf5Y ,
a za Whatsapp ovdje: https://bit.ly/4pJqohc

PS: Linkove uvijek možete naći u podnožju portala.